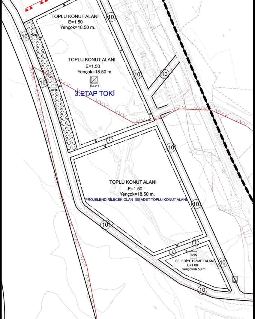
Zonguldak’ın Gökçebey ilçesine Sosyal Konut Projesi kapsamında TOKİ tarafından yapılacak olan 100 adet konutun yeri belli oldu.
Gökçebey Belediyesi tarafından yapılan açıklamada şu ifadelere yer verildi:
“TOKİ tarafından yürütülen 500.000 Sosyal Konut Projesi kapsamında, Gökçebey ilçemizde yapılacak olan 100 adet konutun yeri belirlenmiştir.
Konutların yapılacağı alanın imar planları belediyemizce titizlikle hazırlanmaktadır.
Vatandaşlarımızın daha modern, güvenli ve yaşanabilir konutlara kavuşması için çalışmalarımız aralıksız sürmektedir.”

Kaynak: Haber Merkezi



